Az erdők biológiai sokféleségéről másképpen 2018.10.30. 14:37
Kiállítás és programajánló a Baglyaskő-vár Látogatóközpontban
A természetvédelemben használat fogalmak közül a biológiai sokféleség napjaink talán legtöbbet emlegetett kifejezése. Szinte nem találunk olyan környezetvédelmi, természetvédelmi témájú előadást, cikket,nyilatkozatot, amiben ne szerepelne ez a jól ismert szókapcsolat. A biológiai sokféleség (idegen szóval: biodiverzitás) az élőlények változatosságát jelenti, egyszerre értve ezen a növény- és állatfajok sokféleségét és a természeti rendszerek (ökoszisztémák, vagyis az élőlények és élettelen környezetük közötti kapcsolatok) gazdagságát.
Az erdők természetvédelmében is kulcsfontosságú fogalom a biológiai sokféleség. Az erdő mint ökoszisztéma maga is egy igen összetett, bonyolult rendszer: fák, cserjék, egyéb lágyszárú növények, gombák, valamint különböző állatfajok életközössége. Az erdei élőhelyek jellegét alapvetően a fásszárú növények határozzák meg: a fafajok változatossága, elhelyezkedésüknek térbeli szerkezete, a különböző korú faegyedek jelenléte mind egy-egy tényezője annak a biológiai sokféleségnek, amely az egész életközösségre kihat. Az erdőkben a biológiai sokféleség tehát nem csupán a fa- és cserjefajok szintjén jelenik meg. Épp ellenkezőleg: a változatosság mértéke kihat az életközösség valamennyi tagjára, befolyásolja az erdőhöz kötődő egyéb élőlények fajgazdagságát is.A természetvédelem már régen felismerte és a gyakorlatban is alkalmazza azt az elvet, mely szerint a fajok védelme élőhelyeik védelme által sokkal hatékonyabban valósítható meg. Az Európai Unió természetvédelmi törekvéseiben szintén megfigyelhetjük ezt a gondolatot. A Natura 2000 hálózat, a madárvédelmi és természetmegőrzési területek rendszerének fenntartásában is kiemelt szerepet kap az élőhelyek védelme. Mivel az erdők kimondottan gazdálkodással érintett területek, ezért hatékony védelmük csak megfelelő erdőhasználat által valósulhat meg. Számos ún. jelölő állatfaj kiváló indikátora az erdőgazdálkodás természetközeliségének, tágabb értelemben pedig képet ad az erdő természetességi állapotáról is. A továbbiakban néhány erdőkhöz kötődő Natura 2000 faj kerül a középpontba, valamint olyan nem védett állatfajok, melyek jól példázzák hazai erdeink megőrzésre érdemes gazdagságát.
Farontó bogarak és társaik a természetvédelem mérlegén
Az emberek nem egyformán gondolkodnak a szépről, különösen igaz ez az erdők esetében. Van, aki a vadregényes, háborítatlan ősvadon képét társítja hozzá, öreg famatuzsálemekkel, kidőlt fákkal. Mások számára esetleg a tiszta, aljnövényzet nélküli erdő képe elevenedik meg, ahol a fák „szép rendben” állnak, és jól karbantartott turistautak haladnak a fák között. Sajnos egyre kevesebb helyen találkozhatunk az előbbi erdőképpel, a védett területeken kívül inkább utóbbi állapot figyelhető meg, vagyis a korunkra annyira jellemző célszerűség uralja az erdők képét is. Hogyan kapcsolódnak mindehhez a farontó bogarak?

Molyhos tölgyes erdő képe: itt nem katonás rendben állnak a fák

A korhadó fa mikroélőhelyek sokaságát rejti

Méretes holtfa nagy hőscincér járatokkal
Az erdők rovarfaunájában kiemelt szerepet töltenek be az ún. szaproxilofág rovarok. Ezek a bogárfajok a korhadó faanyaghoz kötődnek, az elhalt növényi részek fogyasztásával elősegítik a szerves anyag lebontását, így az erdő megújulását is meghatározó tápanyag-körforgás igen fontos és pótolhatatlan résztvevői. A hagyományos fakitermelés (vágásérettségi kor) gyakorlata általában nem kedvez ezen fajok túlélésének, hiszen a számukra alkalmas idős faegyedek sok helyen gyakorlatilag hiányoznak az erdőkből. A csoport legismertebb képviselői, a hőscincérek és szarvasbogarak mára Európa-szerte veszélyeztetettnek számítanak, így lett például a nálunk még viszonylag gyakori nagy szarvasbogár Natura 2000 jelölőfaj. Hasonlóan a nagy hőscincérhez, a nagy szarvasbogár is kimondottan tölgyekhez kötődik. Mindkét faj lárvái több éven át fejlődnek az elhalt farészekben, míg „nemszeretem” pajorból csinos bogárrá alakulnak át. A különbség csupán abban van, hogy ki melyik részét használja a holtfának: a szarvasbogár lárvái jellemzően tuskókban vagy a fák elhalt gyökerében fejlődnek, a cincérlárvák pedig a fák napsütésnek kitett törzsoldalában vagy ágaiban élnek. Zárt erdőben kizárólag a magasabban fekvő, vastag, napsütötte ágakban találhatók meg. A több évig tartó fejlődés során a nagy hőscincér lárvája közel egy méter hosszú járatot rág. Jellegzetes kanyargós vonalvezetése miatt könnyen felismerhető a lárvajárat, ilyet főleg a már teljesen elpusztult, kéreg nélküli fákon figyelhetünk meg. Mindkét említett bogárfaj imágója a tölgyek kifolyó nedvével táplálkozik, furcsán kinéző szőrös nyelvük kiválóan segíti őket a nedűhöz jutásban.

Nagy hőscincér (Cerambyx cerdo)

Nagy szarvasbogár (Lucanus cervus)
A szarvasbogár szőrös nyelvével szívogatja a fák nedvét
Szintén tölgyesekben találkozhatunk a fokozottan védett kék pattanóval, amely a talajjal érintkező tőodúkban találja meg életfeltételeit. Speciális élőhelyigénye miatt ritka fajnak számít Magyarországon is, bár az utóbbi években megélénkült kutatások eredményeképpen ma már közel 40 lelőhelyét ismerjük. Mai tudásunk szerint ezzel Európa legjelentősebb kékpattanó-populációjával büszkélkedhetünk! Mint valamennyi pattanóbogár, a kék pattanó is képes arra a mutatványra, hogy hátára fektetett helyzetből felpattanjon (innen kapta a csoport a nevét). „Pattanókészülékük” egy erős izomzat, mely a domború előtorban található, mely a melltőnél egy-egy tüskében végződik. Amikor a bogár felpattan, testét az aljzathoz feszítve hátát felemeli, a tüskéket a mellközép gödrének mélyedésébe belecsúsztatja, szárnyfedőit pedig a felszínhez üti, így az ellenlökés hatására végül a magasba emelkedik, és végre a talpára eshet. A mutatvány az ember tenyerében nem mindig sikerül, ilyenkor a műveletet kísérő finom percegés árulkodik arról, hogy a bogár kísérletet tett a felpattanásra.

A kék pattanó (Limoniscus violaceus) és élőhelye
Erdeink viszonylag elterjedt, de a nagyközönség számára szinte ismeretlen kéreg alatt élő bogárfaja a skarlátbogár. A bogár nevéhez hűen feltűnő pirosas színben pompázik, mind a hím, mind pedig a nőstény hasonló megjelenésű. Teste oldalról nézve nagyon lapos, csaknem papír vékonyságú, amire nagy szüksége is van, ugyanis a lárvák mellett az imágók is a korhadó fák kérge alatt lapulnak. A kifejlett bogarak ősszel jelennek meg és azokkal jellemzően a tél végi, kora tavaszi időszakban lehet találkozni. A skarlátbogár megfelelő korhadtsági állapotú fákban, tehát a kellően nyirkos, laza, de még le nem váló kéreg alatt szinte bármely fafajban megtalálható. Puhafákban (fűz, nyár, éger) és keményfákban (tölgy, akác) is előfordul, sőt még tűlevelű állományokban is. A kifejlett bogár másik különlegessége, hogy télen is kereshető, tehát nem pete, lárva vagy báb formájában vészeli át a zord időszakot. A skarlátbogár teste egyfajta természetes „fagyállóval” van feltöltve, és igen jól bírja a hideget; a testfolyadékában felhalmozódó glicerin segítségével akár -40 Celsius fokos hideget is túlél. A kéreg alatt lapuló, hókristályokkal borított és a fatörzsre fagyott bogarat aztán a tavaszi nap első sugarai olvasztják ki, jelezve, hogy elérkezett számára a szaporodás ideje. Az imágók tavaszi „felébredésük” után mindössze néhány hetet élnek,a gyakorlott szemű rovarász számára azonban lárvái valamennyi évszakban fellelhetők.
Skarlátbogár (Cucujus cinnaberinus) imágó lárvák

Tényleg papírvékony
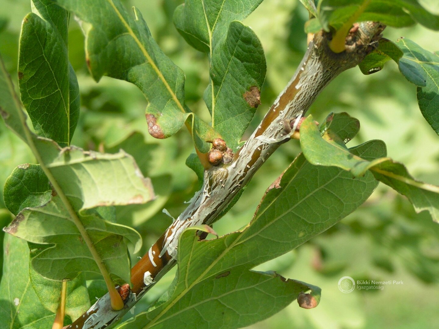
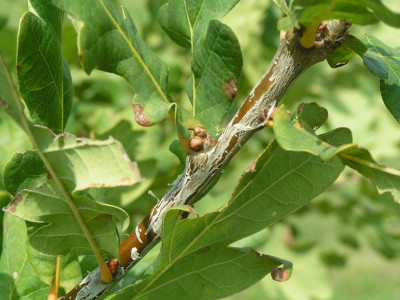
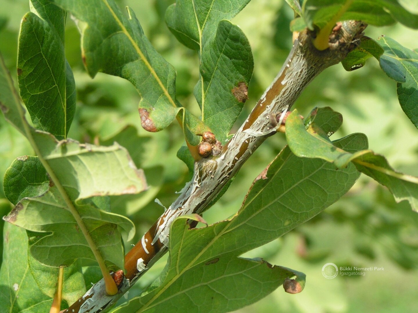
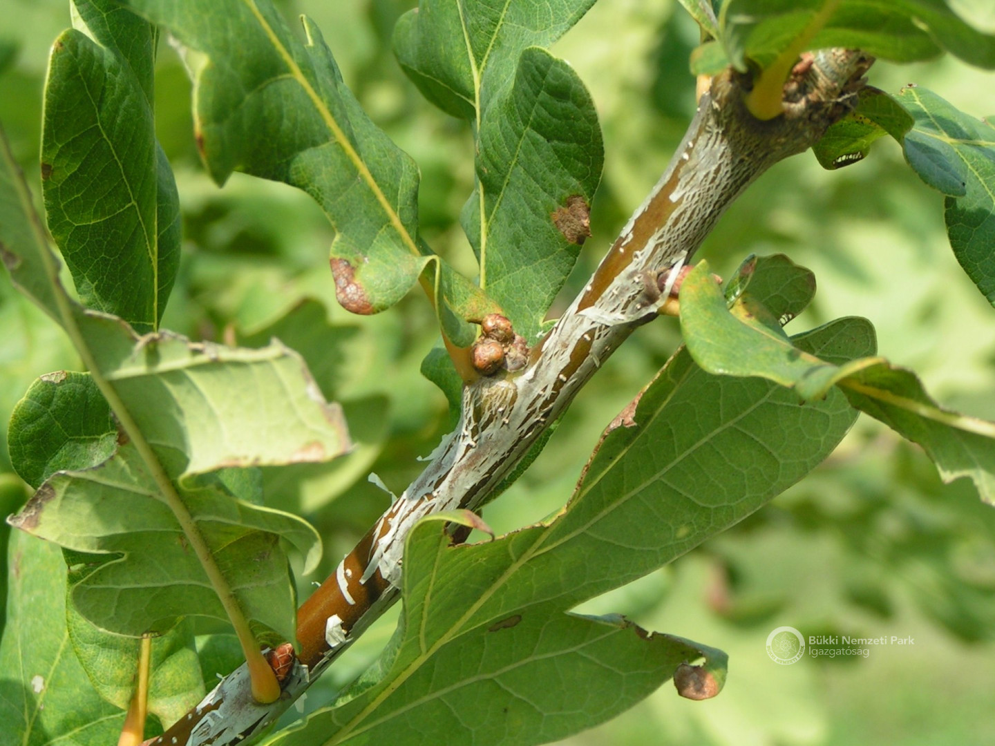
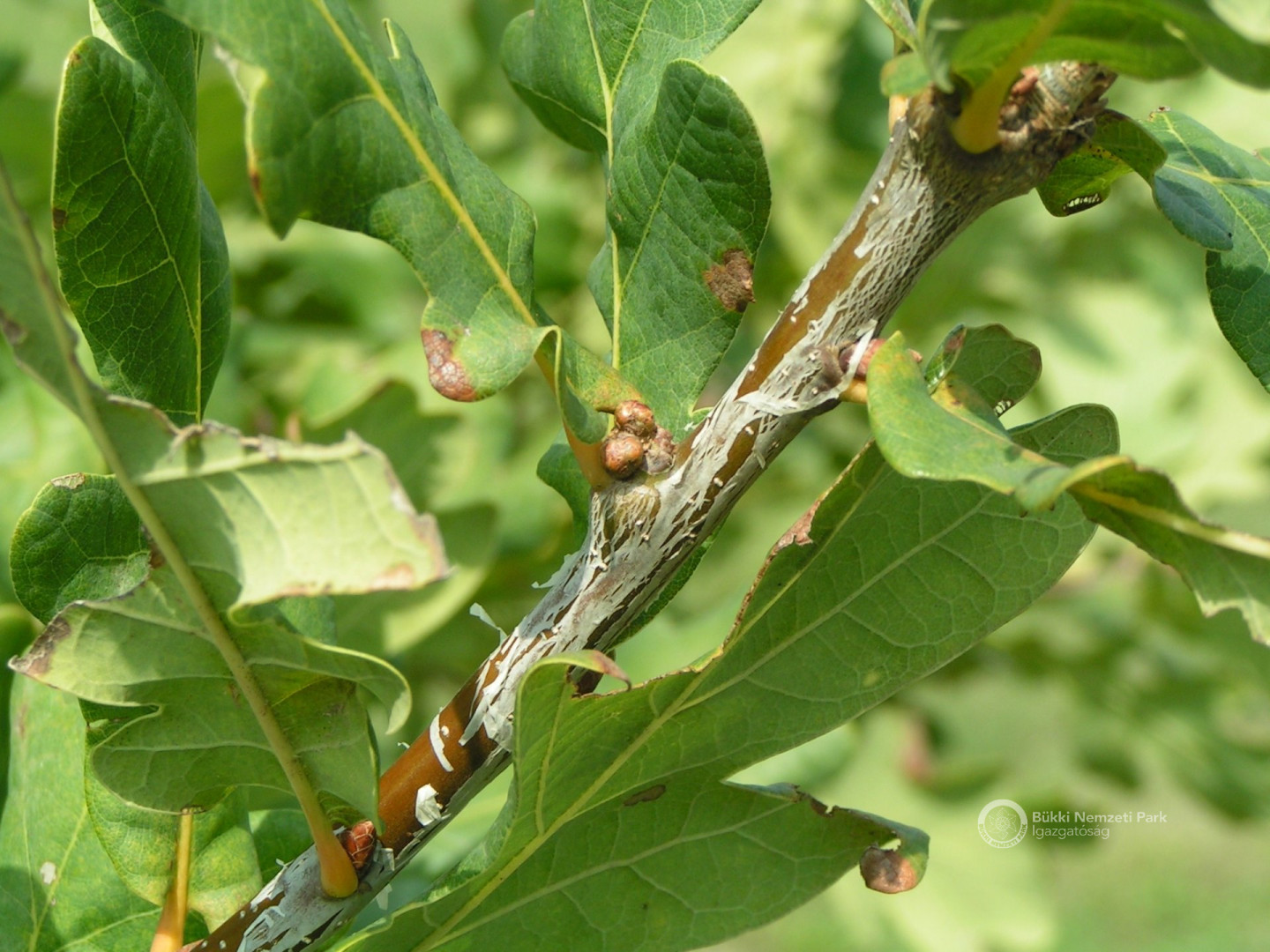
Gubacs, gubics, bigolyó, suska...
A fent olvasható, kicsit viccesnek ható felsorolás érdekes élőlényeket és képződményeket takar. Mik is tehát a gubacsok (népiesen gubics, bigolyó, suska)? Csóka György, a gubacsok magyarországi szakértője így ír róluk: „Számos, egymástól rendszertanilag távol álló élőlénycsoport képes arra, hogy tápnövényét rendkívül kifinomult módszerekkel manipulálva, azt változatos alakú és méretű, rendellenes képződmények, gubacsok létrehozására késztesse. Gubacsok a növények minden részén képződhetnek a gyökértől egészen a virágzatig. Egyeseket évszázadokon keresztül gyógyszerként használtak, mások napjainkban is jelentős károkat okoznak erdeinkben.”
Pallas Nagy Lexikonában pedig ezt a meghatározást olvashatjuk a gubacs címszó alatt: „a növények szervein élősködők v. szurás következtében támadt helyi szövetdaganat v. szövetképzés, mely a benne v. rajta levő élősködőnek az időjárás és ellensége ellen védelmül, lakóhelyül, költőfészkül és táplálékul is szolgál.”
A Magyar Etimológiai Szótár a következőképpen magyarázza a gubacs fogalmát: „kemény, gömbölyű kinövés tölgyfa levelén”.
„Kemény, gömbölyű kinövés tölgyfa levelén” - Dryocosmus nitidus gubacs
A gubacs nem termés! A képen: csertölgy makk
Néhány kép a gubacsok változatosságáról:
süngubacs (Andricus lucidus),
selyemgomb gubacs (Neuroterus numismalis),
Andricus grossulariae,
Andricus corruptrix,
Neuroterus saliens
Cserlevél gubacsszúnyog (Dryomia circinnans)
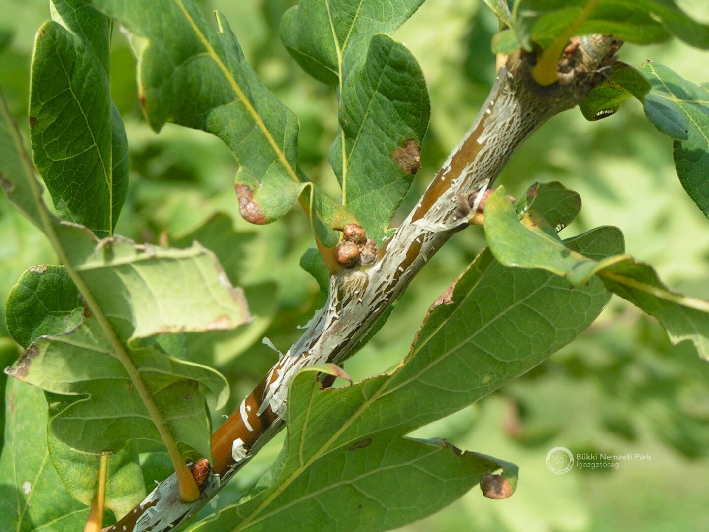
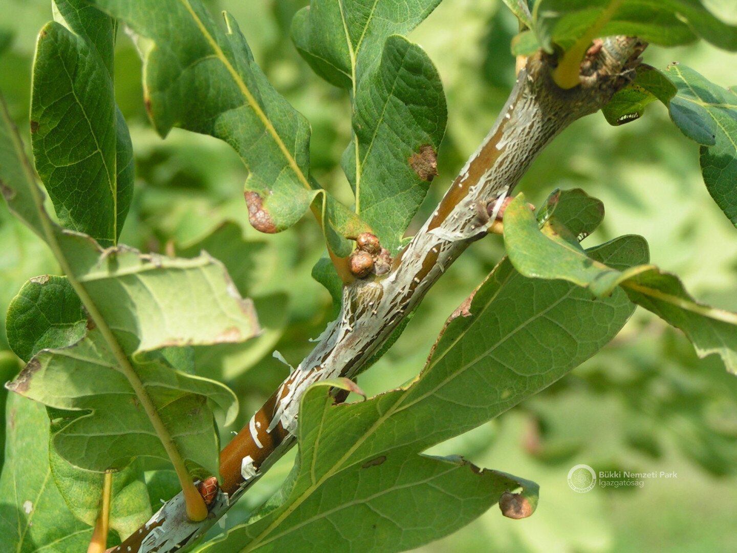
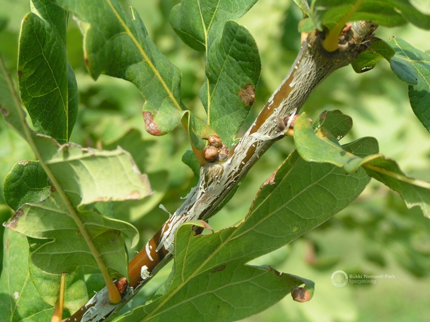
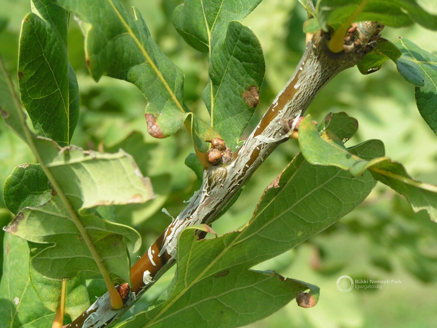
A gubacs tehát egy növényen kialakult (változatos formavilágú) szövetképződmény, melynek belsejében valamilyen ízeltlábú: gubacsdarázs, -légy, -szúnyog, -atka lárvája lakik. Leggyakrabban tölgyféléken találkozhatunk velük, nem véletlenül: csak a tölgyekhez 200 gubacsképző faj kötődik. A gubacsok mindig az adott rovar- ill. atkafajra jellemző formájúak, leggyakrabban gubacsdarazsak munkája nyomán jönnek létre. Hihetetlen méret- és formabeli változatosság jellemzi őket, leveleken, rügyön, termés(kezdemény)en egyaránt előfordulhatnak. A legmutatósabb, legnagyobb gubacs a nagy magyar gubacsdarázs munkálkodása nyomán jön létre, 4 cm-es méretével ez a legnagyobb ilyen képződmény Európában. Az úttörők, kisdobosok és cserkészek nyakkendőjét régen ez a gubacs díszítette.

A nagy magyar gubacsdarázs (Andricus hungaricus) gubacsai
A gubacsdarazsak igen apró lények: néhány mm-es méretükkel az ember számára szinte észrevehetetlenek, de nem úgy a bölcső(de)ként hátrahagyott gubacsaik. Ezeket nem ők maguk készítik, hanem „kiprovokálják” a növényből: petéiket a növény valamely szövetébe juttatva egyfajta sejtburjánzást idéznek elő, a növény ugyanis úgy próbál védekezni a kéretlen betolakodó ellen, hogy gyors szövetképzés révén igyekszik elválasztani az érintett területet az egészséges, fertőzésmentes részektől. Az így létrejött kemény burokban már nyugodtan fejlődhet a gubacsdarázs lárvája – a növény is, a gubacsdarázs is jól járt. A gubacs tehát egyszerre lakóhely és táplálékforrás, és kiváló védelmet jelent szinte mindenféle veszedelem ellen. A tölgyeken fejlődő gubacsok többségében egyetlen lakó és egyetlen kamra található – szemben például a rózsákon gyakran látható rózsagubacsokkal, melyek többkamrás kialakításukkal igazi lakótelepként működnek. Az egyedfejlődés előrehaladásával a lárvák bebábozódnak, a kifejlett rovarok pedig újabb feladattal találják magukat szemben: ki kell rágni magukat a gubacsból. Az üres gubacs-lakásokon csak egy apró lyuk árulkodik arról, hogy lakójuk végleg elhagyta az otthonát. Azonban a képlet nem ennyire egyszerű...
Osztrák gubacsdarázs (Andricus kollari) és az általa okozott gubacs
Szögezzük le: a gubacsdarazsak tulajdonképpen károsító rovarok, nagy arányú jelenlétük (gubacsképzésük) gyengíti a gazdanövényt, jelentősen befolyásolhatják főleg a fiatalabb faegyedek egészségi állapotát. Gyakori jelenség, hogy a gubacsban más „társbérlők” is előfordulnak, rendkívül gazdag rovarközösség kötődik ugyanis a gubacsokhoz. Ezek közül sok faj a gubacsdarazsak természetes ellenségének számít, ide tartoznak például a fürkészek (azaz fürkészdarazsak). A fémfürkészek hosszú tojócsövükkel a már létrejött gubacsba rakják petéiket, a kikelő lárvák pedig élősködő életmódot folytatva elpusztítják a gubacsdarázs lárváját. Az események lefolyását még számos apró fortély, cselszövés, álcázás színesíti, egyik vagy másik oldalt erősítve – tehát egy tölgyön semmi sem az, aminek látszik...!
Összefoglalóul
Ha az erdő biológiai sokfélesége kerül szóba, legtöbbünknek talán az emlősök és a madarak jutnak eszünkbe. Látványosak, elég könnyen észlelhetőek, láthatóak-hallhatóak, és viszonylag egyszerűen kutathatók. A hazai erdőterület kb. egynegyedét tölgyes erdőtársulások alkotják. Jól ismert erdőtípussal állunk tehát szemben. Vajon miként festenek ezek az erdők egy rovarász szemével?
Tudományos kutatások kimutatták, hogy a tölgyfajokhoz igen gazdag rovarközösség kötődik. Kb. 600-ra becsülhető azon fajok száma, amelyek az élő fából (a tölgy szöveteiből) nyerik táplálékukat. E tekintetben nagyjából egyformán szerepelnek a hazai tölgyfajok: a kocsányos, a kocsánytalan, a molyhos tölgy és a csertölgy – bár utóbbi egy kicsit kilóg a sorból, kevesebb specialistával (tehát kizárólag tölgyön táplálkozó rovarfajjal) büszkélkedhet.

Biotópfa
A tölgyfa nem csupán életében, hanem holtában is gazdag élővilágnak ad otthont. Egy-egy lábon álló vagy földön fekvő, odvas, esetleg derékba tört, korhadó idős famatuzsálem ún. biotópfaként hosszú évekig szolgálja a természetvédelem ügyét, kiterjedt életközösségnek nyújtva otthont. Vigyázzunk rájuk!